チュータ日誌

(2020/10/06)Project-WATA⑤

前回の記事はこちら

高Ⅰ生を中心とした綿花栽培プロジェクト、Project-WATA。

前回は綿花に実が成っている様子をお伝えしました。

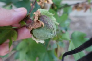
さて、唐突ですが、これはなんでしょう。

そうです!ついに綿が収穫できました!!!

この実が生長し、乾燥していくと、

このように実がはじけ、中の綿が露出します。

後は手で摘み取るだけです。

摘み取り後はこうなります。

夢の跡・・・って感じです。

 

まだ収穫前の実もたくさんあります。

小さな花壇に一畝だけの綿花畑ですが、収穫量はどれくらいになるのでしょう。

楽しみですね!

 

アーカイブ

All Rights Reserved Copyright AIKO educational institution